REQUEST A TOUR If you would like to see this home without being there in person, select the "Virtual Tour" option and your agent will contact you to discuss available opportunities.
In-PersonVirtual Tour

$ 139,000
Est. payment /mo
Active
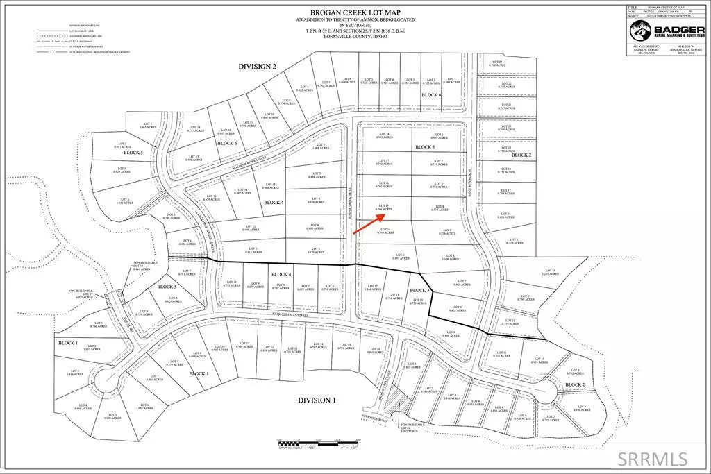
L15 B3 Juniper Creek Dr Ammon, ID 83406
0.77 Acres Lot
UPDATED:
Key Details
Property Type Vacant Land
Sub Type Improved Land
Listing Status Active
Purchase Type For Sale
Subdivision Brogan Creek
MLS Listing ID 2150949
Tax Year 2021
Lot Size 0.766 Acres
Property Sub-Type Improved Land
Property Description
Looking for a Prime Residential Lot to build your DREAM HOME on? Look no more! The NEW Brogan Creek Subdivision offers large lots and a convenient location.
Location
State ID
County Bonneville
Zoning General Zoning: Not Verified,Specific Zoning: Not Verified
Exterior
Community Features No Gutters, No Curbs, Other Sidewalks (See Remarks)
Utilities Available Natural Gas Available
View Y/N No
Garage No
Private Pool No
Building
Sewer Public Sewer
Water Public
Schools
Elementary Schools Rimrock
Middle Schools Black Canyon M.S.
High Schools Thunder Ridge-D93
Others
Senior Community false
Acceptable Financing Cash, Conventional
Listing Terms Cash, Conventional
Special Listing Condition Standard
Listed by Keller Williams Realty East Idaho


